Cinayetten beş ay sonra bilirkişi raporu: Elçi'nin nasıl vurulduğu bilinemez
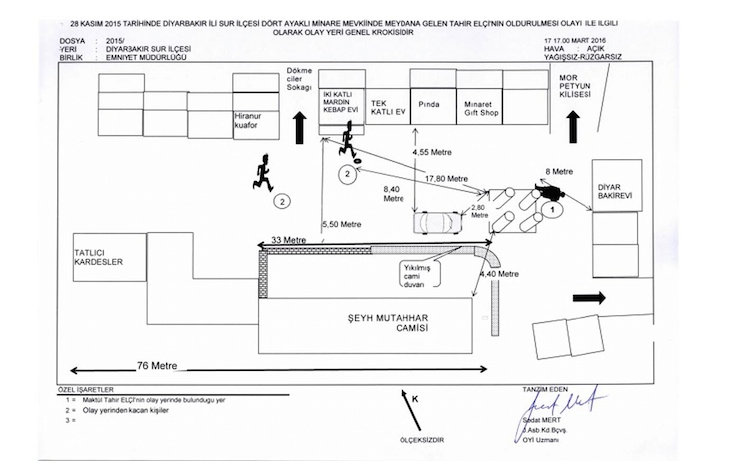
Diyarbakır Barosu Başkanı Tahir Elçi'nin 28 Kasım günü vurulduğu yerde yapılan son olay yeri inceleme ve keşif çalışmasının bilirkişi raporu tamamlandı. Adli Tıp, Olay Yeri, Balistik ve Teknik Fotoğraf Analiz uzmanından oluşan 5 kişilik bilirkişinin hazırladığı raporda, mevcut verilerle Elçi'nin ölümüne neden olan atışın nasıl gerçekleştiğinin tıbben ve fiziken bilinemeyeceği belirtiliyor.
Daha önce iki kez çatışma nedeniyle yapılamayan olay yeri incelemesi, son olarak 17 Mart günü Cumhuriyet Başsavcısı Ramazan Solmaz ve Baro yetkililerinin katılımı ile yapılmıştı.
Çekirdek incelemesi sonuçları gelmedi
İncelemede Elçi'nin vurulduğu noktanın tam karşısında bulunan ve 150'ye yakın merminin isabet ettiği işyerinde 2 tabanca ve 1 uzun namlulu silaha ait çekirdek bulunmuştu. Elde edilen mermi çekirdekleri Jandarma Genel Komutanlığı Kriminal Laboratuvarı'na gönderilirken, çekirdekler üzerindeki incelemenin devam ettiği öğrenildi.
8 muhtemel açı
Olay yeri inceleme ve keşif tutanağını hazırlayan jandarma, çatışmalar nedeniyle bölgenin zarar gördüğünü ve olay sırasındaki özelliklerini kaybettiğini belirtti. Olay yeri incelemesinde saldırı sırasında Elçi'nin bulunduğu noktaya cansız manken konularak lazer ışığı ile vurulma noktası tespiti de yapıldı. Olay anına göre sokaktaki noktalardan Elçi'nin boy ölçüsüne uygun olan cansız mankene doğru lazer ışığı tutularak yapılan çalışmada, 8 muhtemel açı tespit edildi.

“Vurulma anı pozisyonu belli değil”
Olay yeri incelemesine göre hazırlanan 17 sayfalık bilirkişi raporunda, 1.75 santimetre boyunda olan Elçi'nin ayakta dik olarak durması, boynu zemine eğik olması, eğilmesi ve çömelmesi ihtimali ile zemine göre mesafe tespiti yapıldığı kaydedildi. Raporda, Elçi'nin ayakta dik durması kabulünde ense sol yan kısmındaki ateşli silah yarasının, zeminden dik olarak 160 santimetre, boynu zemine doğru eğik olarak 150 santimetre, eğilmesi sırasında 94 santimetre, çömelmesi kabulünde ise 89 santimetre olduğu belirtildi. Maktulün vurulma anında hangi baş ve vücut pozisyonunda olduğunun net bilinmediğini kaydeden bilirkişiler, tanımlanan vücut ve baş pozisyonlarının yapılacak ölçüm ve saptamalara örnek teşkil etmesi için seçildiğini kaydetti.
Raporda ayrıca olay yerinde Dicle Sokak, Aliemiri Sokak ile Yenikapı sokak birleşim yeri ve olay anında mevcut olduğu bildirilen cami duvarı kenarında ateş eden şahısların bulunması halinde, maktule isabet eden mermi çekirdeğine uygun atış istikameti ve açısının ortaya çıkabileceği belirtildi.
Elçi'nin vurulma anında refleks bir hareketle olay yerindeki yatış pozisyonunda yüzüstü yatar vaziyette düşmesinin tıbben ve fiziken mümkün olduğu belirtilen raporda, vurulma anındaki baş ve vücut pozisyonu net olarak bilinmediğinden bu konuda kesin bir yorum yapılamayacağı da değerlendirildi. Raporda farklı bölge ve istikametlerden yapılabilecek atışların da Elçi’nin vücudunda meydana gelen ateşli silah mermi çekirdeği giriş çıkış yaralarına neden olabileceği vurgulandı.
Atış uzak mesafeden
Raporda Elçi'yi öldüren ateşli silah mermi çekirdeğinin kısa veya uzun namlulu ateşli bir silah ile atıldığı ve uzak atış mesafesinden yapılmış olduğu belirtilirken, ölümü üzerinde ateşli silah yaralanması dışında başka bulgu tarif edilemediği kaydedildi.
Mevcut verilerle Tahir Elçi'nin ölümüne neden olan atışın hangi silahtan, hangi açıyla, kişinin hangi vücut pozisyonu ile nasıl gerçekleştiğinin tıbben ve fiziken bilinemeyeceği belirtilen raporda şu ifadelere yer verildi:
"Olay anında çekilmiş görüntülerde şahısların ateş ettikleri istikamet ve açılardan meydana gelebileceği gibi başka açı ve istikametlerden de meydana gelebileceği, bunlar arasında ayırım yapılamayacağı, bununla birlikte ateşli silah mermi çekirdeğinin vücudun içerisinde izlediği yolun ense soldan kafasına isabet ederek, arkadan öne, hafif aşağıdan ykarıya ve soldan hafif sağa seyirle kafatası kemiklerinde kırıklar meydana getirip,beyin beyincik kanaması ve harabiyeti yaparak sol kaş üzerinden vücudu terk etmiş olduğu sonucuna varıldığı kanaatindeyiz."

